SPRING SALE! Only 25¢Step into the new season with digital access to essential news. Sale Ends April 12 |
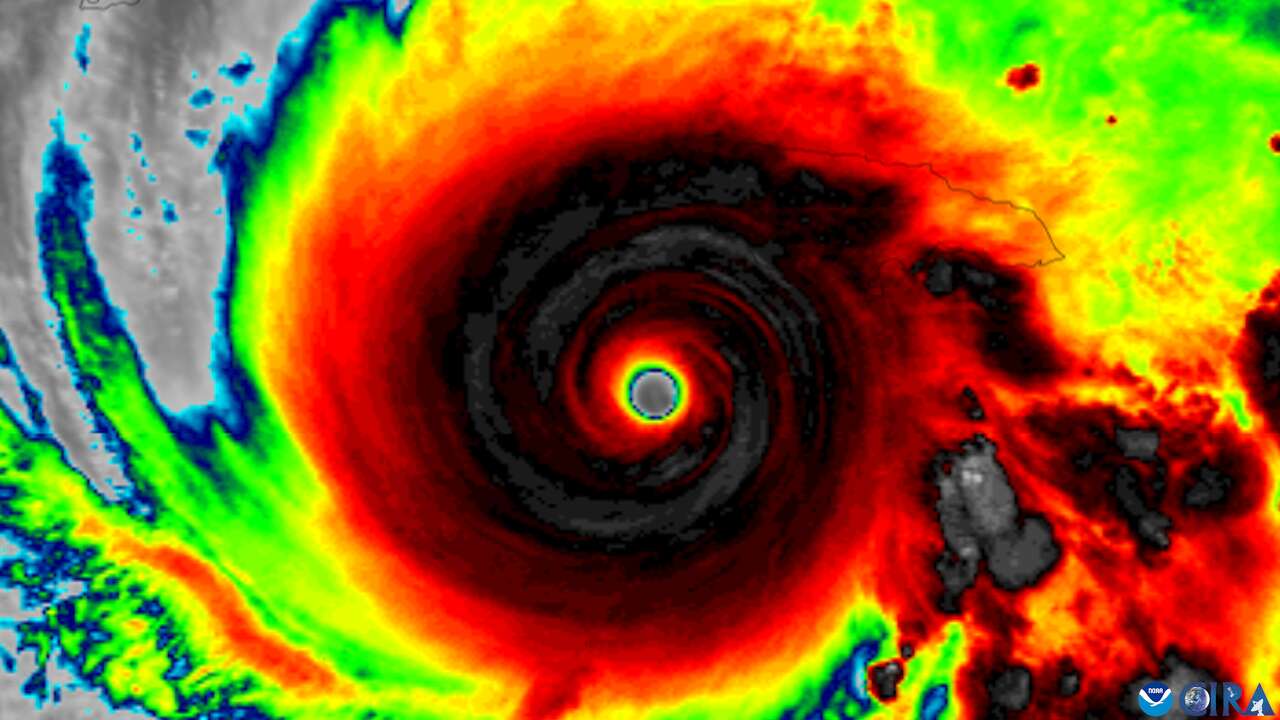
Did you make this year's list of hurricane names? Here's why Melissa is out for good.
Hurricane names are predetermined and reused on a six-year cycle, but they can be permanently removed if a storm is particularly deadly or costly. For instance, the 2025 Atlantic hurricane name list — with Molly replacing Melissa, a Category 5 storm that devastated parts of southern Jamaica last fall — will be used again in 2031.
The World Meteorological Organization, an arm of the United Nations that created the list of 21 storm names in the Atlantic basin, said on its website that the "list of hurricane names covers only 21 letters of the alphabet as it is difficult to find six suitable names (one for each of the 6 rotating lists) starting with Q, U, X, Y and Z."
The 2026 Atlantic hurricane name list mirrors the 2020 season, but Leah replaced Laura after the 2020 storm's name was retired.
READ MORE: These are the hurricane names for the 2026 season and why 'Melissa' is retired from it
![]() | Justin Ballard, Meteorologist |
Justin's Five Day Fit Check

Photo by: Ken Ellis
Warm, especially humid weather will build across Houston this week as winds off the Gulf Coast return, pushing highs into the 80s. Rain chances increase midweek, with the best opportunity for scattered showers and storms arriving late Wednesday into Thursday, but coverage will remain spotty. Another round of rain might return late this weekend as a stronger system moves through.
![]() | Ask a Meteorologist |
Is hurricane season expected to be quieter this year? — Martha K.
It might be a bit less active than last year — but not by much, and certainly not enough to let your guard down.
AccuWeather is forecasting a near-normal 2026 Atlantic hurricane season, with 11 to 16 named storms and up to 8 hurricanes. That's slightly lower than recent hyperactive years, but still enough to pose a real risk.
For Texas and the Gulf Coast, the bigger takeaway isn't the total number of storms — it's how many make landfall. Forecasters say three to six storms could directly affect the United States, including up to three along the Gulf Coast.
Concern also remains about rapid intensification, which is when storms quickly strengthen just before landfall. That's something the especially warm waters of the Gulf of Mexico are particularly capable of fueling.
Bottom line: Even in a relatively quieter year, it only takes one storm making a Texas landfall to make it dangerous.
READ MORE: AccuWeather's 2026 hurricane season forecast is out. Here's what it means for Texas.
Do you have a Houston weather or climate question? If so, you can submit your weather questions to justin.ballard@houstonchronicle.com. They may just end up in a future edition of the weather newsletter.
Something to see

Photo by: National Weather Service
The average daily temperature in March 2026, as of Monday, was 69.6 degrees, which is about 6 degrees warmer than normal. The month is on pace to become the third-hottest March in Houston's weather history. Above-normal heat both in the daytime and at night contributed to the unseasonable readings.
Texas Weather Wonks Trivia
Including this month, five of the 10 warmest Marches at Bush Intercontinental Airport, Houston's official climate observation site, have occurred in the past 15 years. What's the highest average temperature reading for March in Houston (hint: it happened in 1907)?
A) 72.4 degrees
B) 71 degrees
C) 70.9 degrees
D) 69.6 degrees
Hit reply to this email to let us know what your guess is and we'll let you know who answered correctly first in next week's newsletter.
Janice H. had the correct answer to the previous weather trivia question: What's the earliest calendar date that Houston temps have hit 90 degrees (hint: it happened in 1986)? B) Feb. 20
Other weather news
|
|
|
|
|
Meet the Team

Photo by: Susan Barber
The 713 Weather Radar newsletter is written and produced by meteorologist Justin Ballard and Texas Weather Science Editor Roberto Villalpando. You can reach out to them at justin.ballard@houstonchronicle.com and roberto.villalpando@houstonchronicle.com or by replying directly to this email.
Recommended Reading
|
|

Unsubscribe | Manage Preferences

Houston Chronicle
4747 Southwest Freeway, Houston, TX 77027
© 2026 Hearst Newspapers, LLC







No comments:
Post a Comment